

まさにスピード! 開発許可をより早く! 売れる区画を企画します!
許可が早いと工事も早い! もちろん販売も!貴社の事業に必ずお答えいたします。
開発許可は時間がかかる・・・
「許可が下りるまで工事ができない」「販売できない」「金利がかかる」
そんな悩みを

が解決!
開発許可を従来の30%~50%のSpeedで取得します。
今までの設計事務所は、役所まかせ・・・
当社は事業者の負担を限りなく減らすため、
各担当部局と直接交渉・打ち合わせを行い最短の時間で開発許可を取得することをお約束します。
完了までに時間がかかる・・・
「青地の払下げ」「水道掘削許可」「道路使用許可」「完了検査」
そんな悩みを

が解決!
開発設計Speedなら
警察署・企業庁・財務局等の関係官庁の申請もSpeedがバックアップ!
今までの「設計だけ」の会社とは違い、
開発許可から工事完了まで全ての申請から現場調整をSpeedが全面的にフォロー!
だから速いんです。
お知らせ
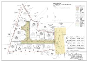
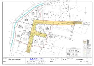
現在進行中の開発許可実績
茅ヶ崎市緑が浜 開発許可 8区画 (1,756㎡)
2022年11月17日
茅ヶ崎市旭が丘 開発許可 6区画 (901㎡)
2022年11月17日
藤沢市片瀬山 開発許可 6区画 (954㎡)
2022年11月17日
藤沢市長後 開発許可 10区画 (1,907㎡)
2022年11月17日
鎌倉市津西 開発許可 10区画 (1,975㎡)
2022年11月17日
鎌倉市植木 開発許可 7区画 (1,374㎡)
2022年11月17日

開発設計Speed 株式会社PAULOS〔パウロ〕
〒253-0041 神奈川県茅ヶ崎市茅ヶ崎1丁目3-36ルート1ビル3F
TEL:0467-84-0856
FAX:0467-89-3893
"No, that red light is not for me. See, that green arrow going up and down that goes straight,"
I said, "that's my green light."






